VINICOLA CICELLA
Indirizzo: Via Onorevole Pietro Franzoso, snc – 74020 Torricella (TA)
Tel.: +39 099 9573761
Sito: www.vinicolacicella.it
Email: vinicolacicella@libero.it
Azienda BIO: sì
laVINIum 12/2024
Una delle zone più vocate della Puglia per la produzione di vino è certamente quella che si sviluppa intorno al comune di Manduria; una piccola parte entra nella provincia di Brindisi e abbraccia i comuni di Erchie, Oria e Torre Santa Susanna, ma l’area più grande si trova in provincia di Taranto e digrada verso il Mar Jonio coinvolgendo un perimetro che parte dai confini della città per terminare con Avetrana e Manduria. Qui il Primitivo ha una tradizione che si perde nella notte dei tempi, tanto che nella versione “Dolce Naturale” si è guadagnato la DOCG nel 2011.

Tra i comuni coinvolti c’è anche Torricella (Turicèdda in dialetto salentino, conosciuta anche per la presenta del cinquecentesco Castello Muscettola), dove risiede l’Azienda Vinicola Cicella, oggi condotta da Michele e Cosimo Schifone, fratelli e soci.

Va detto che nelle campagne torricellesi (ma direi anche in altre zone della regione) sono presenti numerose masserie, molte delle quali erano state abbandonate in tempi difficili. Negli ultimi decenni stiamo assistendo a un progressivo recupero per farne agriturismi, luoghi di ristorazione o aziende vinicole.

Anche in questo caso si tratta di una masseria, Cicella, con annessi terreni vitati, di cui la famiglia Schifone è proprietaria da circa 70 anni. Già negli anni ’50 Pietro Schifone produceva vino, i vigneti si trovano a poca distanza dal mare, tra i comuni di Torricella, Sava e Lizzano, dove regna l’argilla rossa, derivata dalla disgregazione di calcare ferroso e minerale, che garantisce un terreno fertile e drenante.

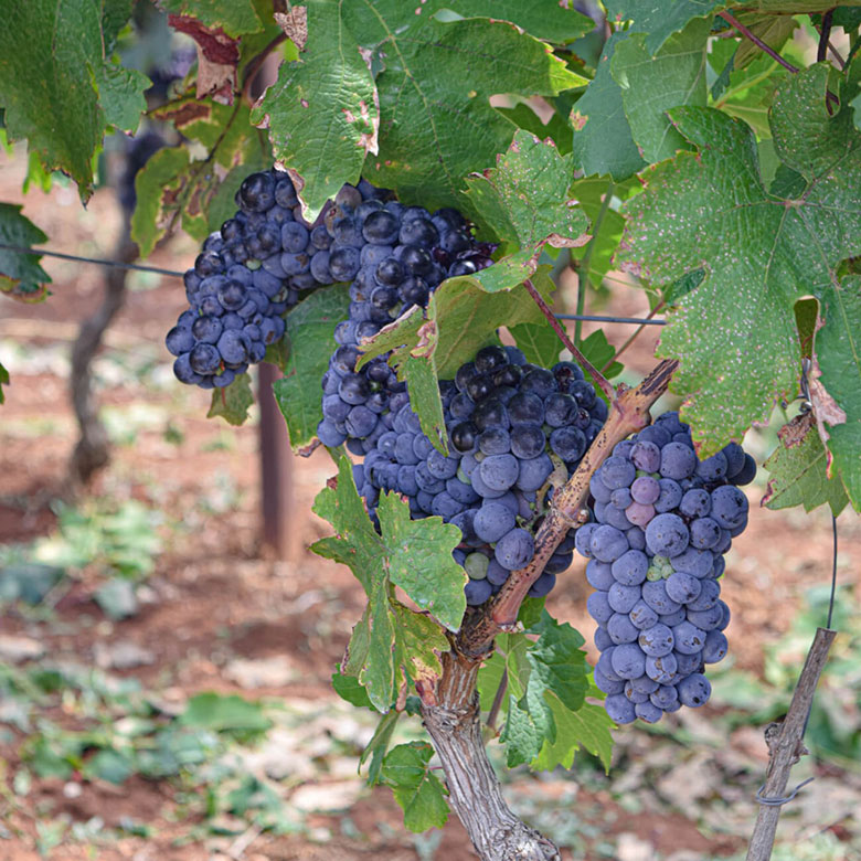
Michele (enologo) e Cosimo (grande esperto di vigna), nipoti di Pietro, hanno deciso nel 2013 di ristrutturare la masseria per realizzare il loro sogno vitivinicolo. I vigneti sono principalmente a primitivo, vitigno principe del territorio, cui fanno seguito negroamaro, malvasia nera, fiano e moscato; l’impianto è ad alberello non irriguo con età che va dai 30 ai 60 anni.

Intanto viene costruita una moderna cantina provvista di tutte le tecnologie per produrre i propri vini, si estende su due piani, una parte è provvista di serbatoi in acciaio, un’altra contiene qualche tonneaux ma soprattutto i mitici “capasoni”, giare di terracotta che hanno oltre 100 anni e rappresentano un motivo di orgoglio per Michele e Cosimo.
Roberto Giuliani
| Vini degustati | Annata | Prezzo | Voto |
|---|---|---|---|
| Primitivo Rosato Li Mareni | 2022 | da 10 a 15 euro | @@@@ |
| Fiano | 2023 | da 8 a 14 euro | @@@@@ |
| Primitivo di Manduria Pepe Nero | 2021 | da 13 a 16 euro | @@@@ |
| Negroamaro | 2022 | da 8 a 12 euro | @@@ |
| Primitivo Pezza della Chiesa | 2021 | da 15 a 20 euro | @@@@@ |
| Fiano | 2024 | da 10 a 15 euro | @@@@@ |